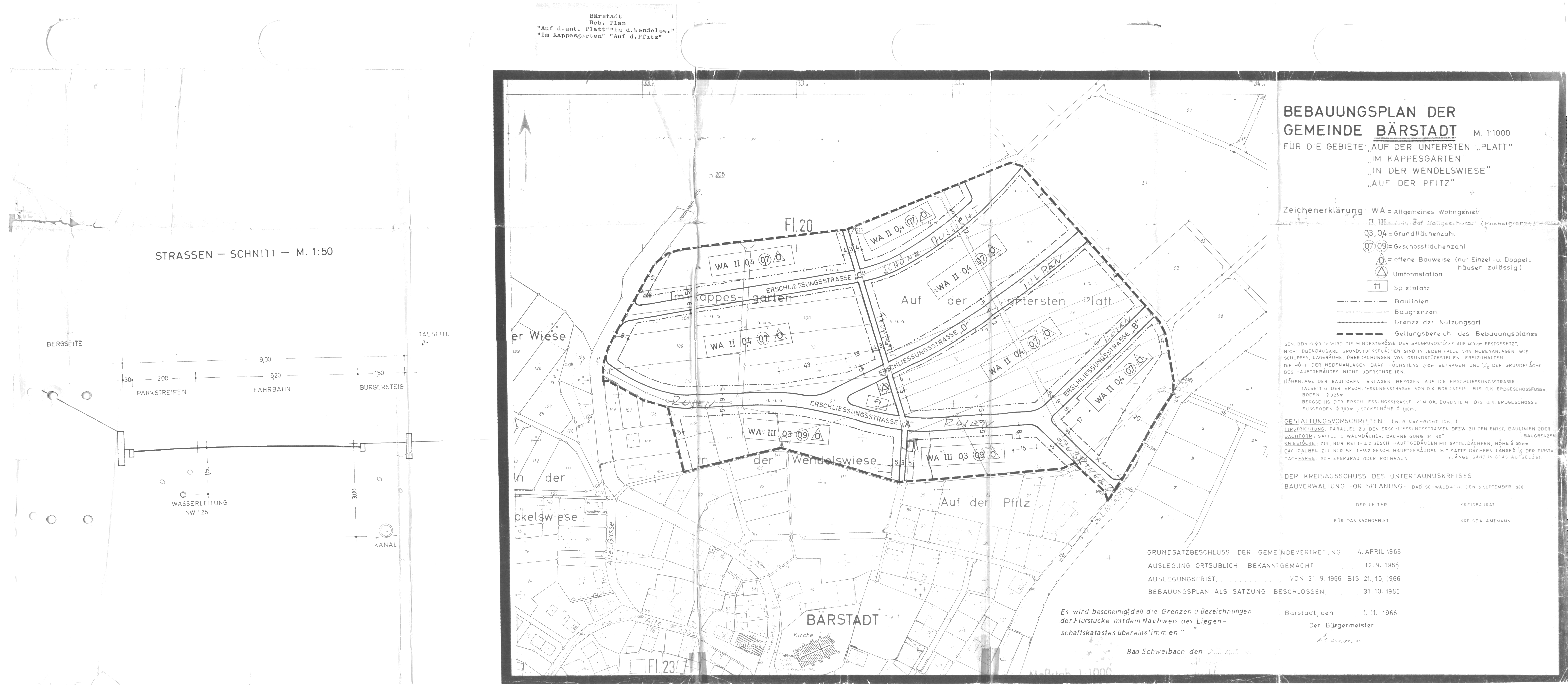
| Bebauungsplan mit Bausatzung BS 01.0 u.a. "Auf der untersten Platt, Im Kappesgarten, u.a." (RP 23.01.1967): |
|---|
| BA 01.0 Auf der untersten Platt, Im Kappesgarten, u.a._A4 |
| BA 01.0 Auf der untersten Platt, Im Kappesgarten, u.a._Bebauungsplan |
| BA 01.0 Auf der untersten Platt, Im Kappesgarten, u.a._Bausatzung entspricht ZS 01.0/01.1 Bausatzung für den BP "[...] Im Kappesgarten, u.a." (24.09.1966, 15.12.1970) |
| 1. vereinfachte Änderung für Flur 20, FlSt. 206 (12.12.1967) BA 01.1 [...] Im Kappesgarten, u.a._1. vereinfachte Änderung_12.12.1967_Beschluss |
| 2. vereinfachte Änderung für Flur 20, FlSt. 153 - 158 (29.02.1968) BA 01.2 [...] Im Kappesgarten, u.a._2. vereinfachte Änderung_29.02.1968_Beschluss |
| 3. vereinfachte Änderung für Flur 20, FlSt. 212 - 215 (28.04.1969) BA 01.3 [...] Im Kappesgarten, u.a._3. vereinfachte Änderung_28.04.1969_Beschluss |
| BA 01.4 "Auf der untersten Platt, Im Kappesgarten, u.a., - 1. Änderung" für Flur 20, FlSt. 158 - 160, 163 tlw., 169 - 171, 185, 186, 193 tlw. (17.12.1978) |
|---|
| BA 01.4 [...] Im Kappesgarten, u.a._1. Änderung_17.12.1978_A4 |
| BA 01.4 [...] Im Kappesgarten, u.a._1. Änderung_17.12.1978_Planteil |








Kontakt: